案例五:公铁两用复杂桥墩坐标计算
该案例为某特大桥公铁两用复杂桥墩平面坐标求解实例,该桥墩设计资料包括:左线的平曲线要素表(见表1),ZH点桩号为K74+800.000;公铁两用复杂桥墩结构立面图(如图1所示)、公路铁路线位关系图(如图2所示)、3-3基础截面图(如图3所示)、2-2下层门式墩顶帽截面图(如图4所示)、1-1上层门式墩顶帽截面图(如图5所示),图6为其对应的三维效果图。
表1 曲线要素表


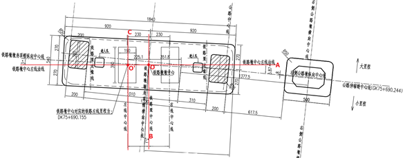
图1 铁路线路、公路线路的位置关系图

图2 公铁两用复杂桥墩结构立面图

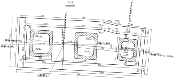
图3 基础截面图

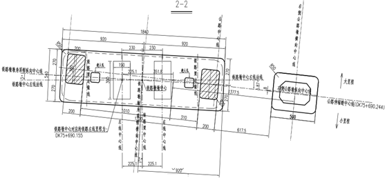
图4 下层门式墩顶帽截面图

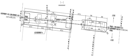
图5 上层门式墩顶帽截面图

图6 公铁两用门式桥墩三维效果图 图7 公铁两用门式桥墩现场施工图
从图2中可以看出,左侧为公铁两用双层门式墩结构,上层箱梁为公路箱梁,下层箱梁为铁路箱梁,右侧为公路桥墩,其结构类型属于矩形空心墩且下层基础为多级承台。设计资料提供了三个截面的尺寸信息如图3、图4、图5所示。 从图1中我们可以看到,铁路中心线与公路中心线的相对位置关系比较复杂,二者之间存在偏角,偏角值为5.87°;铁路桥墩自身存在斜交,墩横轴与线路的切线方位成93°角;铁路桥墩属于双线桥墩,线间距为4.502m;公路左侧桥墩与右侧桥墩的梁缝中心线并不重合,二者相差8cm;B57号铁路桥墩中心对应的左线里程桩号为K51+950.000,线间距为4.502m,公路伸缩缝中心线桩号为GK75+690.244。 通过以上可分析得到,该公铁两用桥墩结构特殊,线位关系复杂,借助常规的计算工具难以实坐标的快速、准确求解。选择铁路左线线路中线为计算基准,利用设计资料提供的计算截面平面图,按照桥涵结构物平面模型的概念,可以方便地建立其桥涵结构物平面模型,实现坐标计算,具体操作步骤如下: (1)在AutoCAD中依据设计资料绘制计算截面(以3-3基础截面为例)的几何图形,如图8所示。由于设计资料给的3-3基础截面图中已经考虑了设计要求的各类偏角信息,可直接导入到RBCCE中,并合并为整体(该案例设计资料提供了AutoCAD图,检核正确无误,直接导入)。

图8 3-3截面几何图形
横轴为该铁路桥墩梁缝分界里程所在直线,如图所示,横轴即为水平线0A。O为横轴上对应于铁路中心线位置的点,OB为铁路线路中心线(左右线中心线),O’为横轴上对应于铁路左线位置的点(中桩点),O’C为铁路左线前进方向。基点可定义在横轴的任意位置上,之后结合偏心值确定桥涵平面与线路中线正确的位置关系,即:基点+偏心值=中桩点。可将基点直接定义在O’处,不设置偏心,也可将基点定义在O点处,设置横向偏心为+2.251m,以下操作采用后一种处理方法。 (2)绘制指示线捕捉到O点,然后选中组合好的平面图,单击“桥涵结构物”按钮,即可将其强制转化为桥涵结构物模型,见图9(b)、图9(c)。

图9(a) 基点偏心值示意图

图9(b) 1-1截面指示线绘制

图9(c) 1-1截面强制转化为桥涵平面结构物模型
(3)双击桥涵结构物平面模型,可以设置桥涵结构物的名称、桩号及偏角属性,绘制指示线法定义坐标计算点位,查询得到坐标计算成果表并可进行计算机模拟放样,见图10、图11。

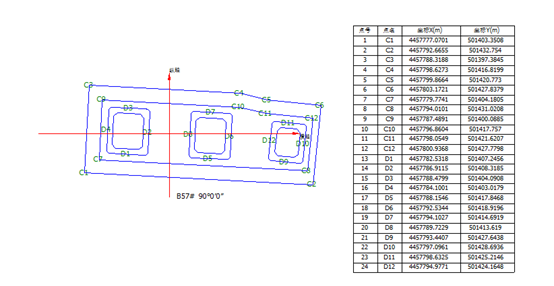
注:C1-C12为多级承台轮廓点;D1-D12为门式墩及矩形墩底截面轮廓点。
图10 坐标查询成果表

图11 3-3基础截面计算机模拟放样成果
采用相同的处理方法,可以实现2-2下层门式墩顶帽截面截面、1-1上层门式墩顶帽截面的坐标计算和计算机模拟放样,见图12、图13。

图12 下层门式墩顶帽截面计算机模拟放样成果

图13 上层门式墩顶帽截面计算机模拟放样成果
以上桥涵平面结构物模型创建时也可以预先不处理偏角,创建好桥涵平面结构物之后录入实际的偏角数据。 以上结合某特大桥公铁两用桥墩的实际案例,从设计资料展示、建模方法分析、具体建模实现、成果应用四个方面系统的介绍了RBCCE软件关乎复杂桥涵平面结构物的求解逻辑。
